Public Works
Construction on State Highway in San Diego County - Caltrans 11 - 423704 I-8 Alpine
Enhances roadway durability, safety, and long-term performance in eastern San Diego County. Spanning approximately 15 acres, the work includes advanced pavement systems, modern guardrails, and comprehensive stormwater and water quality controls to protect the surrounding environment. Designed with safety, resilience, and environmental compliance in mind, the project supports reliable and long-term transportation improvements.
Four Gee Park Development
T ransforms the community space into a vibrant, family- and pet-friendly destination. The project features a fenced dog park, playground, walking paths, picnic areas, game boards, and recreational amenities like ping pong and cornhole, all set within drought-tolerant landscaping. Upgraded utilities, accessible parking, and additional features like bike racks and shaded seating ensure a safe, welcoming, and low-maintenance park for everyone to enjoy.
Kimball Avenue Preserve & Storm Drain Improvements
E nhance roadway safety, functionality, and drainage efficiency in a key commercial corridor. The project includes road reconstruction and paving, upgraded industrial driveways, and comprehensive storm drain improvements with new rip rap, box culverts, and utility upgrades. These enhancements create a more durable, efficient, and safe environment for both traffic and surrounding infrastructure.
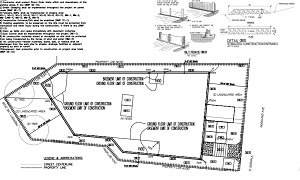
Pickleball Courts
Transforms nearly two acres into a dynamic recreational hub featuring 17 newly constructed concrete courts. The project includes comprehensive site grading, court surfacing, fencing, lighting, shade structures, drainage, and upgraded parking areas to support a high-quality player experience. Designed for durability and community use, the space offers a welcoming environment for both casual play and competitive matches.
Stewart Park Improvement
Created a more inviting and enjoyable space for the community. The project transforms the entire 12-acre site with new playgrounds, a splash pad, walking paths, landscaping, and modern park amenities, along with improved stormwater infrastructure. Designed for families and visitors of all ages, the revitalized park offers a safe, vibrant place to gather, play, and relax.
Construction on State Highway in Los Angeles County - Caltrans 07 - 388704
E nhance roadway safety and functionality through targeted pavement, concrete, and striping upgrades. The work includes asphalt and concrete rehabilitation, updated crosswalks and pavement markings, and the installation of temporary chain-link railing. Carefully coordinated construction and environmental controls ensure smooth execution with minimal impact to the surrounding area.